ケラ
さんの情報は
生没年不詳
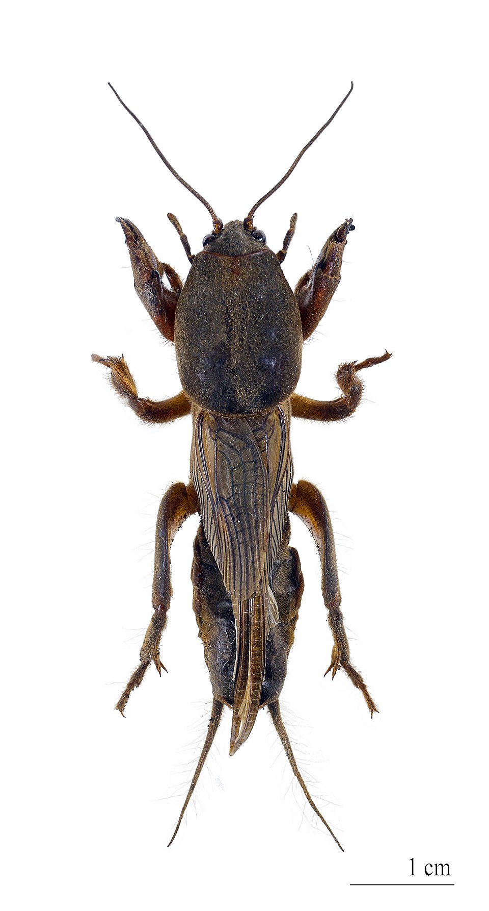
ケラ(螻蛄)は、バッタ目(直翅目)・キリギリス亜目・コオロギ上科・ケラ科(Gryllotalpidae)に分類される昆虫の総称。コオロギ類の中には地下にトンネルを掘って住居とするものがいくつか知られているが、ケラは採餌行動も地中で行うなど、その中でも特に地中での生活に特化したグループである。 日本にはその中の一種ケラ Gryllotalpa orientalis Burmeister, 1839(G. fossor Scudder, 1869 とも)が分布し、単にケラと言った時にはこの種を指すことが多いが、世界中の熱帯・温帯に多くの種類が分布している。日本ではおけらという俗称で呼ばれることも多い。「虫けら」とは虫全般を指すのであって、ここでいうケラとは関係ない。
※Wikipediaの情報から機械的に算出しています。
情報の正確性を保証するものではありません。
| ケラ科 Gryllotalpidae | |||||||||||||||||||||
|---|---|---|---|---|---|---|---|---|---|---|---|---|---|---|---|---|---|---|---|---|---|
Gryllotalpa gryllotalpa
| |||||||||||||||||||||
| 分類 | |||||||||||||||||||||
| |||||||||||||||||||||
| 属 | |||||||||||||||||||||
「ケラ」を
Wikipediaで調べる
「ケラ」さんについての
一言コメント
まだコメントはありません。